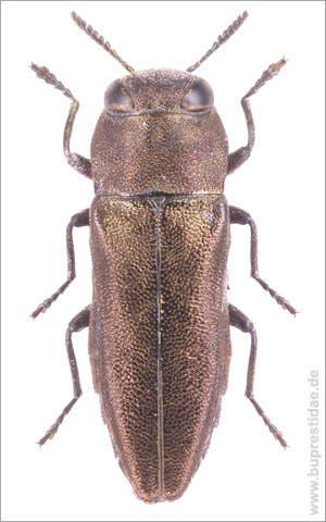
Anthaxia ruth Bílý & Kubáň, 2010
General distribution: Namibia, South Africa, Tanzania
Province records: KH
Paratype ♂: NA, Khomas Highland, ~2000 m.s.l., SGCB.

Type locality:
Geelhoutbosh farm, Waterberg, South Africa (North Province)
Type repository:
Holotype ♂: NMPC
Ecology:
In South Africa reared from dead branches of Acacia erubescens Welw. ex Oliv. and A. grandicornuta Heyne (Fabaceae) (Bílý & Kubáň 2000).
Flight period:
Size:
6.5-9.2 mm
Remarks:
In Namibia known only after a short series, reared from dead wood collected in the Khomas Highlands.




© Copyright 2013. All rights reserved.