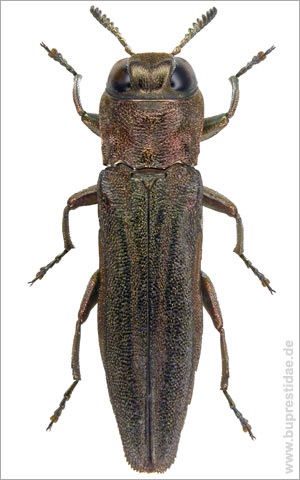
Agrilus debilis Fåhraeus in Boheman, 1831
General distribution: Namibia, South Africa
Province records: ER, HA, KH, OD, OH
♂: NA, Hardap, 15 km W Rehoboth, 1530 m.s.l., SGCB.

Type locality:
Gariep River, “Caffraria” [South Africa]
Type repository:
Syntype(s): NHRS
Ecology:
Beaten from Acacia mellifera (Vahl) Benth. (Fabaceae) (Curletti & Cristiano 2013).
Flight period:
I, II, III, IV
Size:
~7 mm
Remarks:




© Copyright 2014. All rights reserved.