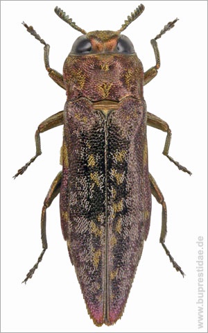
Agrilus braunsi Obenberger, 1931
General distribution: Kenya, Namibia, Zimbabwe, South Africa, ?Tanzania
Province records: ER, HA, KA, KH, OH
♂: NA, Hardap, 10 km SW Hoachanas, 1110 m.s.l., SGCB.

Type locality:
Bothaville, South Africa; Umtali, Zimbabwe; Waterberg Dist., “Transvaal” [South Africa]
Type repository:
Syntype(s): BMNH, NMPC
Ecology:
Beaten from Acacia mellifera (Vahl) Benth. (Fabaceae) (Curletti & Cristiano 2013). In South Africa also collected from foliage of Acacia karoo Hayne (Fabaceae) (Bellamy & Westcott 1995).
Flight period:
I, II, III, IV
Size:
6.8-7.8 mm
Remarks:
Previously not recorded from Namibia.




© Copyright 2014. All rights reserved.